![]() |
![]() |
|
緑に囲まれた閑静な敷地 追分宿や国道まで約450mの好立地です 近くに飲食店もあり利便性も兼ね備えています 雰囲気の良い緑に囲まれた開放感ある敷地 環境も良く別荘&定住におすすめ 周辺は別荘&定住が広い範囲で点在する人気のエリアです 周りの別荘と一定の距離が保たれて気持ち良く過ごせます ※代理物件につき仲介手数料不要です |
![]() |
|
売約済 |
||||||||||||||||||||||||
|
||||||||||||||||||||||||
|
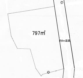
所在地 軽井沢町大字追分 用途 第一種低層住居専用地域 交通 しなの鉄道 信濃追分駅 約2,3km 建ぺい率 20% 敷地面積 797u(241坪) 容積率 20% 設備 中部電力、公営水道、要個別浄化槽、プロパンガス 地目 山林 その他 長野県景観条例、軽井沢町の自然保護対策要綱、約6M道路(第1項3号)に約35.5M接道 取引態様 -代理物件- |
||||||||||||||||||||||||
|
トップページ - 軽井沢の不動産物件情報 |
||||||||||||||||||||||||
| 東信不動産株式会社 軽井沢町大字追分812-1 TEL 0267-46-1255 Copyright Toushin Fudousan K.K. All Rights Reserved. |